Terreno / Lote en venta de 1300m2 ubicado en Balcarce

  • USD 35.000
50 esquina 87 Balcarce, Balcarce, Balcarce

Descripción

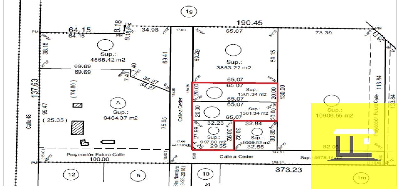
Oportunidad única de adquirir un amplio terreno en la esquina de 50 y 87, Balcarce, con un precio atractivo de U$D35.000. Este lote cuenta con una superficie total de 1300 m2, de los cuales 750 m2 son cubiertos. Su orientación al norte permite disfrutar de una inmejorable vista a la sierra La Barrosa, creando un ambiente tranquilo y sereno, ideal para aquellos que buscan alejarse del bullicio cotidiano. La zona se caracteriza por su poco movimiento vehicular, lo que la convierte en un lugar perfecto para construir el hogar de tus sueños o para una inversión a largo plazo.

El acceso al terreno es de ripio, lo que asegura una conexión con el entorno natural. Además, cuenta con servicios básicos como luz y alumbrado público, y se han realizado trabajos de estabilización en las calles, garantizando una mejor transitabilidad. Este terreno también ofrece la posibilidad de financiación, facilitando la adquisición a inversores interesados. No pierdas la oportunidad de ser parte de este entorno privilegiado, donde la tranquilidad y la belleza natural se unen para ofrecerte una calidad de vida excepcional.

Detalles

Actualizado en diciembre 22, 2025 a 9:13 am
  • ID: FIS-196507
  • Precio: USD 35.000
  • Sup. cubierta: 0.00 m²
  • Sup. descubierta: 0.00 m²
  • Sup. semicubierta: 0.00 m²
  • Sup. total: 1300.00 m2
  • Sup. construible: 750 m²
  • Metros de frente: 20 m2
  • Metros de fondo: 65 m2
  • Disposición del terreno: Perimetral
  • Forma del terreno: Regular
  • Baño: 0
  • Cochera: 0
  • Tipo: Terreno / Lote
  • Estado: En venta
  • Dirección 50 esquina 87 Balcarce
  • Ciudad Balcarce
  • Provincia Buenos Aires Interior
  • Localidad o barrio Balcarce

Información de contacto

Quiero saber más sobre esta propiedad

Propiedades similares

Comparar listados

Comparar
Abrir chat